Entwurfsvermessung – Die Basis für jedes erfolgreiche Bauprojekt

Eine präzise Planung beginnt mit exakten Daten. Mit unserer Entwurfsvermessung schaffen wir die verlässliche Grundlage für den Entwurf von Gebäuden, Verkehrsanlagen und Ingenieurbauwerken. Egal ob Sie ein Einfamilienhaus realisieren oder ein komplexes Infrastrukturprojekt umsetzen möchten – wir liefern die Grundlage, auf der Architekten, Planer und Bauleiter aufbauen können.

Was gehört zu unserer Entwurfsvermessung?

Wir erfassen alle relevanten Geländedaten vor Ort und bereiten sie übersichtlich auf – genau so, wie es für Ihre Planung benötigt wird. Dazu zählen unter anderem:

Höhennivellement / Höhenaufnahme Ihres Baugrundstücks

Wir vermessen Ihr Baugrundstück im amtlichen Koordinatensystem und erfassen alle relevanten Punkte für die Weiterplanung: Böschungen, Mauern, Fahrbahnhöhen, Schächte und vieles mehr. Das Ergebnis ist ein detaillierter Bestandslageplan, der Lage und Höhe aller Aufnahmepunkte darstellt. Mit diesen exakten Daten kann Ihr Architekt die Höheneinstellung für Ihr Traumhaus oder Ihre Anlage festlegen – präzise, sicher und planbar.

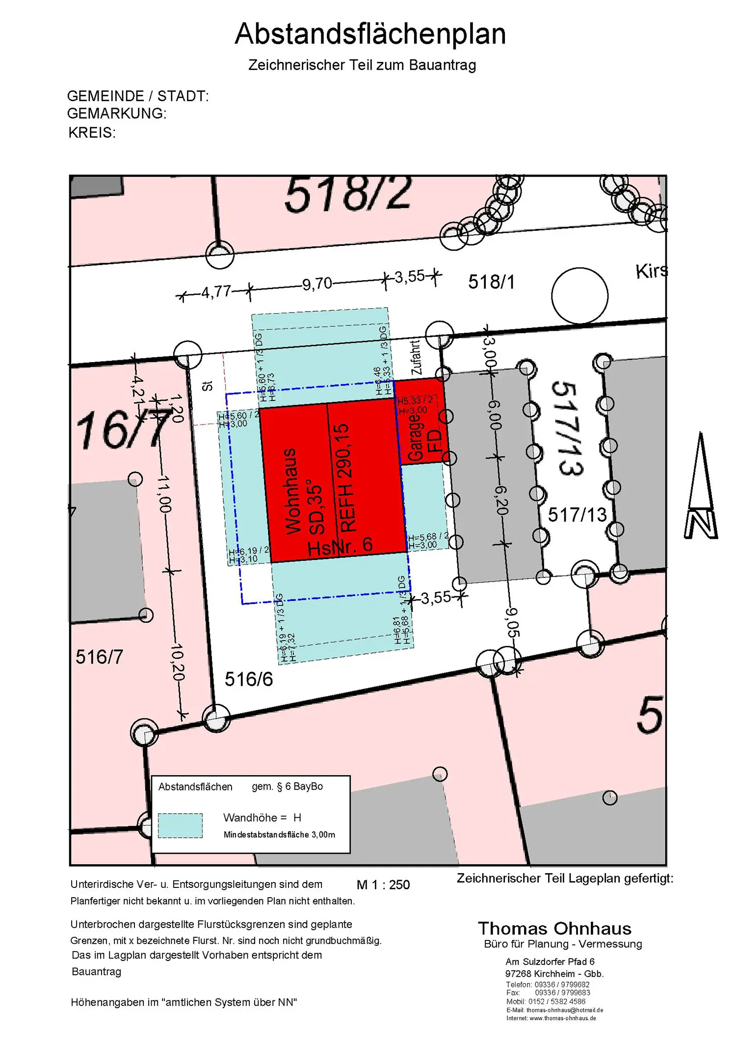
Lageplan zum Bauantrag

Ein unverzichtbarer Bestandteil jeder Bauantragsunterlage – normgerecht und behördentauglich erstellt.

Abstandsflächenplan

Wir sorgen dafür, dass alle gesetzlichen Grenzabstände korrekt dargestellt und eingehalten werden.

Grundstücksvermessungen & Grenzfeststellungen

Darüber hinaus bieten wir Grundstücksvermessungen und Grenzfeststellungen an. Damit schaffen wir klare Verhältnisse und sorgen dafür, dass Ihr Bauprojekt von Anfang an rechtlich und planerisch abgesichert ist.

Warum Entwurfsvermessung vom Profi?

Fehler in der Planungsphase führen später zu Verzögerungen und Mehrkosten. Mit unserer Erfahrung und moderner Vermessungstechnik garantieren wir Ihnen höchste Genauigkeit und rechtssichere Ergebnisse. So können Sie sicher sein: Ihre Planung steht auf festem Fundament.

Ob privater Bauherr, Architekturbüro oder öffentliches Projekt – wir sind Ihr zuverlässiger Partner für Entwurfsvermessungen.